Se construiesc parcări în centru. Buletin de Carei a semnalat corect. Dispare gardul neautorizat din interiorul Parcului Dendrologic
Astăzi a avut loc la sediul Primăriei Carei o Dezbatere Publică legată de punerea în discuţie a documentaţiei pentru un PUZ Zonă centrală Parc Dendrologic monument istoric. A participat şef birou Urbanism Egli Sebastian, sef birou proiecte, Carmen Egli, proiectantul Mircea Corodan de la firma Nirvana Satu Mare şi dl.Srepler Francisc de la Urbanism.
Potrivit celor declarate de Sebastian Egli, obiectivul principal al acestui PUZ sunt parcările şi circulaţia pietonală din zona amintită.
Tot şeful de la Urbanism a recunoscut că în incinta Parcului Dendrologic se va demola construcţia fără autorizaţie care este ba depozit de lemne ba patinoar provizoriu. Deci Buletin de Carei a avut dreptate când a semnalat faptul că acel gard din interiorul Parcului Dendrologic monument istoric a fost construit fără niciun aviz sau aprobare. Era doar un loc ferit de privirile careienilor pentru a depozita ocazional masa lemnoasă tăiată din Parcul Dendrologic. Este vorba despre gardul realizat din plăci de beton iar la intrare din plasă verde.
Acum mai sunt câţiva buşteni în interior precum şi GRĂMEZI de moloz de la construcţiile din vecinătate.
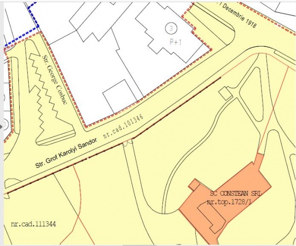
Tot în cadrul dezbaterii s-a afirmat că se vor construi parcări noi pe strada grof Karolyi, pe strada Jozsef Attila şi pe bdul 25 Octombrie, porţiunea dintre Monumentul Ostaşului Român şi prima staţie de bus.
În anul 2011 pe bdul 25 Octombrie au fost alocaţi 342.750 lei pentru amenajare de spaţiu verde şi încă 79.500 lei pentru lucrări de irigaţii după ce în prealabil au fost scoase TOATE tufele de trandafiri.
http://www.buletindecarei.ro/2011/03/decat-teatru-de-vara-mai-bine-gazon.html
http://www.buletindecarei.ro/2010/11/reamenajarea-spatiilor-verzi-in-carei.html
Aceste spaţii verzi vor fi ciuntite pentru a se amenaja parcările din PUZ ul prezentat.
Pe celelalte străzi se vor crea şi locuri de parcare pentru autocare pentru ca în timp artera principală 1 Decembrie 1918 să devină pietonală pe porţiunea dintre intrarea în parc şi intersecţia cu strada Vasile Lucaciu.
Cât priveşte interiorul Parcului Dendrologic monument istoric, clădirile ruină se vor restaura şi vor avea funcţiuni culturale sau socio-culturale. Fosta florărie a oraşului se va demola şi se va construi acel centru de relaxare votat de consilieri care va cuprinde şi Biblioteca şi 75 de parcări subterane.
Partea cu terasa parc se va demola şi se va construi ceva nou în concordanţă cu ambientul. Sebastian Egli afirmă că firma care a cumpărat terasa are în proprietate doar clădirile nu şi terenul.
Potrivit actelor de Carte Funciară, Parcul Dendrologic a fost parcelat în 5 părţi în urma unui proces care a avut loc în anul 1998, sentinţa civilă 1340 din 23 iunie 1998, în timpul primului mandat al lui Kovacs. Putem spune că de fapt avem 5 parcuri în perimetrul delimitat de gardul exterior.
Buletin de Carei








Avram Iancu
Fundatia Werdnig Hoffman Carei
comentarii
de Mariana la 22 august 2018 - 07:39
De ce nu s-au facut parcarile cand au scos trandafirii? Se economiseau ceva miliarde de lei.